This is a drawing of Janet Raloff a white female with blue eyes wearing glasses and smiling. Behind her is a space-themed background.

Janet Raloff

Editor, Digital, Science News Explores

Editor Janet Raloff has been a part of the Science News Media Group for more than four decades. While a staff writer at Science News, she covered the environment, toxicology, energy, science policy, agriculture and nutrition. She was among the first to give national visibility to such issues as electromagnetic pulse weaponry and hormone-mimicking pollutants, and was the first anywhere to report on the widespread tainting of streams and groundwater sources with pharmaceuticals. Her writing has won awards from the National Association of Science Writers, International Free Press Association and the Institute of Food Technologists. Over the years, Janet has been an occasional commentator on NPR's "Living on Earth" and her work has appeared in several dozen publications. She is also a founding board member of the Society of Environmental Journalists. In July 2007, while still writing for Science News, Janet took over Science News Explores (then known as Science News for Kids) as a part-time responsibility. Eventually, she expanded the magazine's depth, breadth and publication cycle. In 2013 it became her full-time job (although she still writes the occasional story for Science News). Before joining Science News, Janet was managing editor of Energy Research Reports (outside Boston), a staff writer at Chemistry (an American Chemical Society magazine) and a writer/editor for Chicago's Adler Planetarium. Initially an astronomy major, she earned undergraduate and graduate degrees from the Medill School of Journalism at Northwestern University (with an elective major in physics). She interned with the Office of Cancer Communications (NIH), Argonne National Laboratory, the Atomic Energy Commission (now Energy Department), the Oak Ridger in Tennessee and the Rock Hill Evening Herald in South Carolina.

All Stories by Janet Raloff

  1. Chemistry

    E-cigs create toxic vapors from harmless e-liquids

    New study finds a primary source of toxic vaping compounds. It’s the heat-driven breakdown of the liquids that hold nicotine and flavorings. And older, dirtier e-cigs make higher amounts of the toxic chemicals.

  2. Planets

    By Jove! Juno-cam sends back first postcard

    After a long and quiet trek through space, the Juno spacecraft showed it weathered the trip fine and is ready to get on with its business: probing what makes Jupiter tick.

  3. Brain

    Explainer: When loud becomes dangerous

    Many people don’t realize that sounds — even those of the music they love — can prove harmful when they get too loud.

  4. Health & Medicine

    Teen vaping soars past cigarette use

    Most U.S. states ban sales of e-cigarette products to kids. Still, new data show that it’s no sweat for tweens and teens to buy them online.

  5. Chemistry

    Explainer: Some supplements may not have what it takes

    Dietary supplements made from plants may not contain all of the chemicals that usually make a particular plant healthy for humans.

  6. Brain

    Vaping may threaten brain, immunity and more

    New studies of e-cigarette vapor in animals and human cells find new risks to gene activity, behavior and male sperm.

  7. Earth

    The most important stories of 2015

    From Pluto to gene editing, the year saw a number of notable research discoveries, advances and insights.

  8. Health & Medicine

    News Brief: Group dancing helps teens bond

    Coordinated dance routines help teens bond with one another, new data show. Group dancing also offers other benefits, including a higher threshold for pain.

  9. Ecosystems

    Two SNS writers win big

    Here’s a Cool Job: writing about science. Two people who regularly do that for SNS have just picked up awards for stories on the physics of lightning and how nature recycles the dead to feed the living.

  10. Health & Medicine

    Some air pollutants seep through skin

    The skin is the body’s largest organ. And it can let in as much or more of certain air pollutants than enter through the lungs, a new study finds.

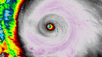
  11. Climate

    Picture This: Biggest hurricane in the West

    The hurricane that’s storming into western Mexico has had higher sustained winds than any seen in the Western Hemisphere. It’s also got the lowest atmospheric pressure, making it a monster storm.

  12. Physics

    Particles that zip through matter snare Nobel

    Two scientists won the 2015 Nobel Prize in physics for their discovery that neutrinos, particles that can pass through almost all matter, have mass.